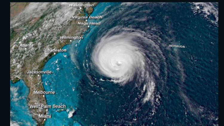
Two days ago, my family and I left Hubert, NC leaving my home and my Etsy shop Flymeawaycreations in the direct path of Hurricane Florence. As I packed as much as I could to take with us, I left almost all my items that I sell locally and online. My craft space just sitting there waiting for the storm to swallow it. Flymeawaycreations has been in business online since 2011 and it’s my heart and I had to leave everything. Our shop moved last August to the coastal region and my family and I knew that we might have to encounter storms, but not a storm that is being known as a historic storm to hit not only NC but SC coastline as well. Everyone was told to evacuate creating over millions to leave their homes and memories that they have made behind. We left NC and headed towards family in the middle of SC, but we are still not in the clear from the storm’s path. As we settled into our family’s home in Columbia, SC and keep all our eyes on the storm’s path we all see that it actually changes path and now forecasting to come through SC. All we can do is pray for our safety and pray for anyone who decided to stay in our home town.
Before we decided to leave I did decide to close my Etsy shop for a while due to the weather conditions that will occur. I am trying to stay positive through this time by interacting with my followers on Instagram and Facebook. All the followers that follow Flymeawaycreations have commented with prayers and positive sayings, which have put a smile on my face. I keep telling myself to stay positive and this is a blessing in disguise, and that God will not put myself or my family in harm’s way or place us in any situation that we cannot handle.
You can follow Flymeawaycreations Instagram page and see videos and items that are in works before adding it to the Flymeawaycreations Etsy shop! www.instagram.com/flymeawaycreations
